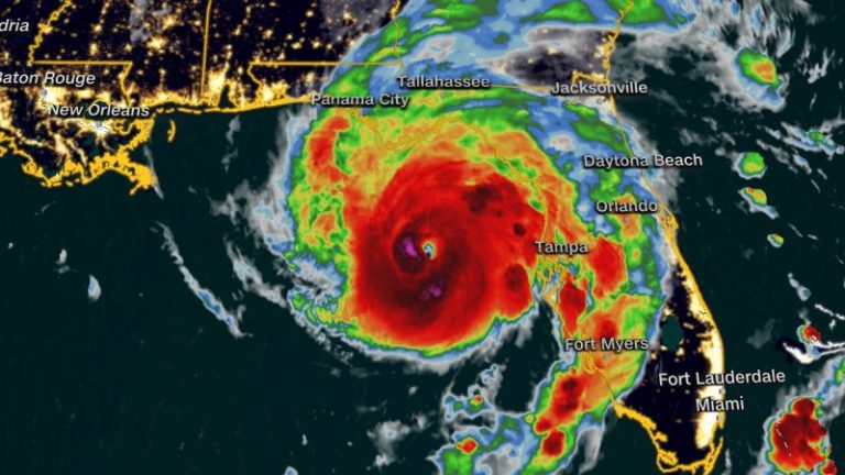
The center of Hurricane Idalia has slammed Florida’s Gulf Coast at dangerous Category 3 strength, inflicting deadly storm surge and catastrophic winds not seen in this region in 125 years while promising untold devastation far beyond the landfall zone.
Idalia moved ashore midmorning Wednesday near Keaton Beach in the Big Bend area – where the panhandle meets the peninsula – with maximum sustained winds of 125 mph and has begun an ominous trudge across Florida and the coasts of Georgia and South Carolina, where residents are urged to beware the sort of floods, strong winds and tornadoes already impacting Florida’s west coast, the National Hurricane Center said.
FOLLOW LIVE UPDATES
It is the third hurricane to make landfall in Florida in the last 12 months, following Ian last September and Nicole in October.
Residents had been urged to flee and the National Guard prepped for rescues as “extremely dangerous” Idalia took aim with once-in-a-lifetime damaging winds and a life-threatening storm surge of up to 16 feet, the National Hurricane Center said.
“There is great potential for death and catastrophic devastation,” warned the Taylor County Sheriff’s Office, in the Big Bend region southeast of Tallahassee.
Even before landfall, “we’re starting to see an almost apocalyptic scene here,” Cedar Key resident Michael Bobbit said early Wednesday.
“Four hours from now, Cedar Key will be unrecognizable.”
A rare extreme wind warning – issued in cases of life-threatening sustained winds of 115 mph or more – was issued for parts of the Big Bend region – including Dixie and Taylor counties, even as Idalia’s sustained winds slowed slightly around 7 a.m. from Category 4 strength.
“Treat these imminent extreme winds as if a tornado was approaching and move immediately to the safe room in your shelter,” the National Weather Service office in Tallahassee warned. “Take action now to protect your life!”
A tornado watch also is in place for nearly 12 million people across central and northern Florida and southeast Georgia until 3 p.m., Wednesday, as conditions continue to deteriorate, with coastal streets and lots flooding in places including Tampa, St. Petersburg and Fort Myers Beach as ocean water pushes ashore, rain pours down and winds whip.
Destruction is possible far behind the forecast cone, Florida Gov. Ron DeSantis said Wednesday morning. At least 11 tornado warnings already had been issued – even in places “way outside the cone that you see on your TV screens,” he said.
Track Idalia here >>
As its eye moves onshore in the Big Bend region, Idalia’s core will bring destructive winds and storm surge high enough to stack a wall of seawater halfway up the second floor of an average building. It could be the first major hurricane at Category 3 or stronger to hit the area.
“This has the makings of an unprecedented event for this part of the state,” the National Weather Service in Tallahassee said. “There are NO major hurricanes in the historical dataset going back to 1851 that have tracked into Apalachee Bay. None.
“Don’t mess around with this one.”
DeSantis warned of “significant, significant impact” to the Big Bend region, saying first responders will not be able to reach the few people who have stayed in evacuation zones until after the storm passes.
“You really got to go now,” he urged Big Bend residents Tuesday evening. “Now’s the time.”
Do not try to “‘ride’ this one out,” police told residents in the Big Bend city of Perry, adding storm surge higher than 15 feet is “not survivable if you are caught in it.” Storm surge accounts for nearly half of all hurricane-related fatalities, the National Oceanic and Atmospheric Administration says.
In Tampa, well south of the projected landfall zone, Idalia’s storm surge began to flood streets Tuesday within a half-hour, Police Chief Lee Bercaw said.
Read more
Track the stormWhat to do and pack ahead of a hurricaneDifferent types of flash flooding and what causes itHere’s what the hurricane categories meanWhat rapid intensification means for hurricanesWhy coastal communities should fear storm surgeHow to read hurricane spaghetti models
“I witnessed for myself people driving in the water,” he said at a storm briefing Tuesday. “Don’t be that person. Remember: Turn around, don’t drown.”
Storm surge could cut off Cedar Key, on the southern side of the Big Bend, National Hurricane Center Deputy Director Jamie Rhome said.
“This storm is worse than we’ve ever seen. My family has been here for many generations, we haven’t seen a storm this bad, ever,” Mayor Heath Davis said Tuesday, warning that all emergency services would stop Tuesday evening as winds pick up.
Here are other developments around the state:
• Evacuations in at least 28 counties: Alachua, Baker, Citrus, Dixie, Franklin, Gilchrist, Gulf, Hamilton, Hernando, Hillsborough, Jefferson, Lafayette, Leon, Levy, Madison, Manatee, Marion, Nassau, Pasco, Pinellas, Putnam, Sarasota, Suwannee, Sumter, Taylor, Union, Volusia and Wakulla have all issued evacuation orders, some mandatory.
• Power knocked out: About 116,000 homes, businesses and other power customers had no electricity as of 7:25 a.m. Wednesday, according to PowerOutage.com.
• Travel halted: Hundreds of flights have been canceled as Tampa International Airport suspended commercial operations and St. Pete-Clearwater International Airport Terminal building closed Tuesday.
• Rescuers on standby: At least eight urban search-and-rescue teams, 33 ambulance strike teams and 5,500 National Guard members are ready, and the Coast Guard is on standby, officials said Wednesday morning.
• Hospitals suspend services: Patients were being transferred from at least three hospitals: HCA Florida Pasadena Hospital, HCA Florida Trinity West Hospital and HCA Florida West Tampa Hospital. Meanwhile, Tampa General Hospital was constructing a water-impermeable barrier to remain open for emergency care.
• Bridges will close: DeSantis warned residents in the path of Hurricane Idalia that once winds reach 40 mph or more, bridges will not be “safe to traverse” and will be shut down. High winds led officials to close the Sunshine Skyway Bridge, which connects St. Petersburg to Manatee County, Pinellas County Emergency Management announced Wednesday morning.
• Schools and universities close: 50 county school districts have issued closures, as did dozens of college and university systems across Florida.
• Thousands of inmates evacuated: Roughly 4,000 inmates were evacuated or relocated to facilities better equipped to handle the storm, according to the Florida Department of Corrections.
• Much of Florida under state of emergency: DeSantis has issued an emergency declaration to 49 of 67 Florida counties.
Florida won’t be the only state feeling Idalia’s impacts. After the storm makes landfall, damaging winds and heavy rain will spread far inland into Florida, parts of Georgia and even the Carolinas.
In pictures: Hurricane Idalia
After hitting Florida, Idalia’s center is forecast to move near or along the coasts of Georgia, South Carolina and North Carolina late Wednesday and Thursday, the hurricane center said.
“Idalia is likely to still be a hurricane while moving across southern Georgia, and possibly when it reaches the coast of Georgia or southern South Carolina late today,” the hurricane center said Wednesday morning.
North Carolina and Georgia have also declared states of emergency as they prepare for floods and hurricane force winds.
